La Defensa Civil cubana decretó la Fase de Alarma Ciclónica para las provincias orientales de Guantánamo, Santiago de Cuba, Holguín, Granma, Las Tunas y Camagüey, ante la inminente llegada del huracán Melissa, un poderoso fenómeno que ya alcanza categoría 5. La decisión se anunció a las nueve de la mañana, según el comunicado oficial número tres del propio Estado Mayor Nacional de la Defensa Civil.
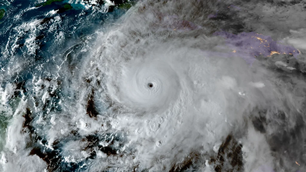
De acuerdo con el Centro de Pronósticos del Instituto de Meteorología, el huracán Melissa ha incrementado su fuerza hasta alcanzar vientos sostenidos de 260 kilómetros por hora, con rachas aún más violentas y una presión central de 917 hectopascal, lo que lo convierte en un monstruo ciclónico de máxima intensidad. El sistema se mueve lentamente hacia el oeste, a solo seis kilómetros por hora, y se espera que en las próximas 24 horas gire hacia el norte y el nordeste, acercándose peligrosamente al sur del oriente cubano.
Mientras tanto, las provincias de Ciego de Ávila y Sancti Spíritus fueron colocadas en Fase de Alerta Ciclónica, y las del centro y occidente —incluyendo La Habana, Matanzas y Pinar del Río— deben “activar los consejos de defensa en composición reducida”. En otras palabras, una preparación a medias, típica del sistema cubano, que suele reaccionar tarde y mal cuando los desastres tocan la puerta.
Las autoridades insistieron en que la población “se mantenga informada por los medios nacionales y los perfiles oficiales del gobierno”. Sin embargo, los cubanos saben bien que esas “orientaciones” muchas veces llegan tarde o son confusas, sobre todo cuando los cortes eléctricos, las malas comunicaciones y la falta de recursos impiden actuar a tiempo. El pueblo vuelve a quedar a la deriva mientras el aparato estatal se escuda en discursos y promesas vacías.
El comunicado oficial repite el mismo tono burocrático de siempre, destacando que la Defensa Civil, el Instituto de Meteorología y el Instituto Nacional de Recursos Hidráulicos “mantienen vigilancia permanente sobre el huracán”. Pero en la práctica, los cubanos de a pie se preguntan cómo enfrentarán un ciclón de categoría 5 en medio de apagones constantes, techos a punto de caerse y hospitales sin medicamentos.
La nota, publicada la mañana del 27 de octubre de 2025, señala que Melissa continuará su desplazamiento hacia el oeste antes de girar al norte y luego al nordeste, cruzando por los mares de Jamaica y acercándose al sur del oriente cubano. Se espera que el deterioro del tiempo comience a sentirse en las próximas horas, con fuertes lluvias, vientos y marejadas en toda la región oriental.
El régimen insiste en mostrar control, pero la realidad en la Isla es otra: la infraestructura está en ruinas, la gente vive en casas endebles, y la escasez de alimentos y combustible hace casi imposible prepararse adecuadamente. En muchos barrios, los vecinos ni siquiera saben dónde refugiarse porque los centros de evacuación carecen de agua, colchones o electricidad.
Mientras el huracán avanza con fuerza, los cubanos se enfrentan no solo a la furia de la naturaleza, sino también a la indiferencia de un sistema incapaz de protegerlos. Una vez más, el gobierno apela a la “disciplina revolucionaria”, pero el pueblo sabe que lo único que puede salvarlos es la solidaridad entre ellos mismos.










