Saltar al contenido
Menú
Menú
Actualidad
Crónica Roja
Política
Internacionales
Deportes
Cuba Curiosa
Entretenimiento
Virales
Cultura
Cocina
Blog
Categorías
Seleccionar Categoría
Actualidad
Cocina
Crónica Roja
Cuba Curiosa
Cultura
Deportes
Destacados
Entretenimiento
Inmigración
Internacionales
Politica
Quizz Cuba
Uncategorized
Virales
Actualidad
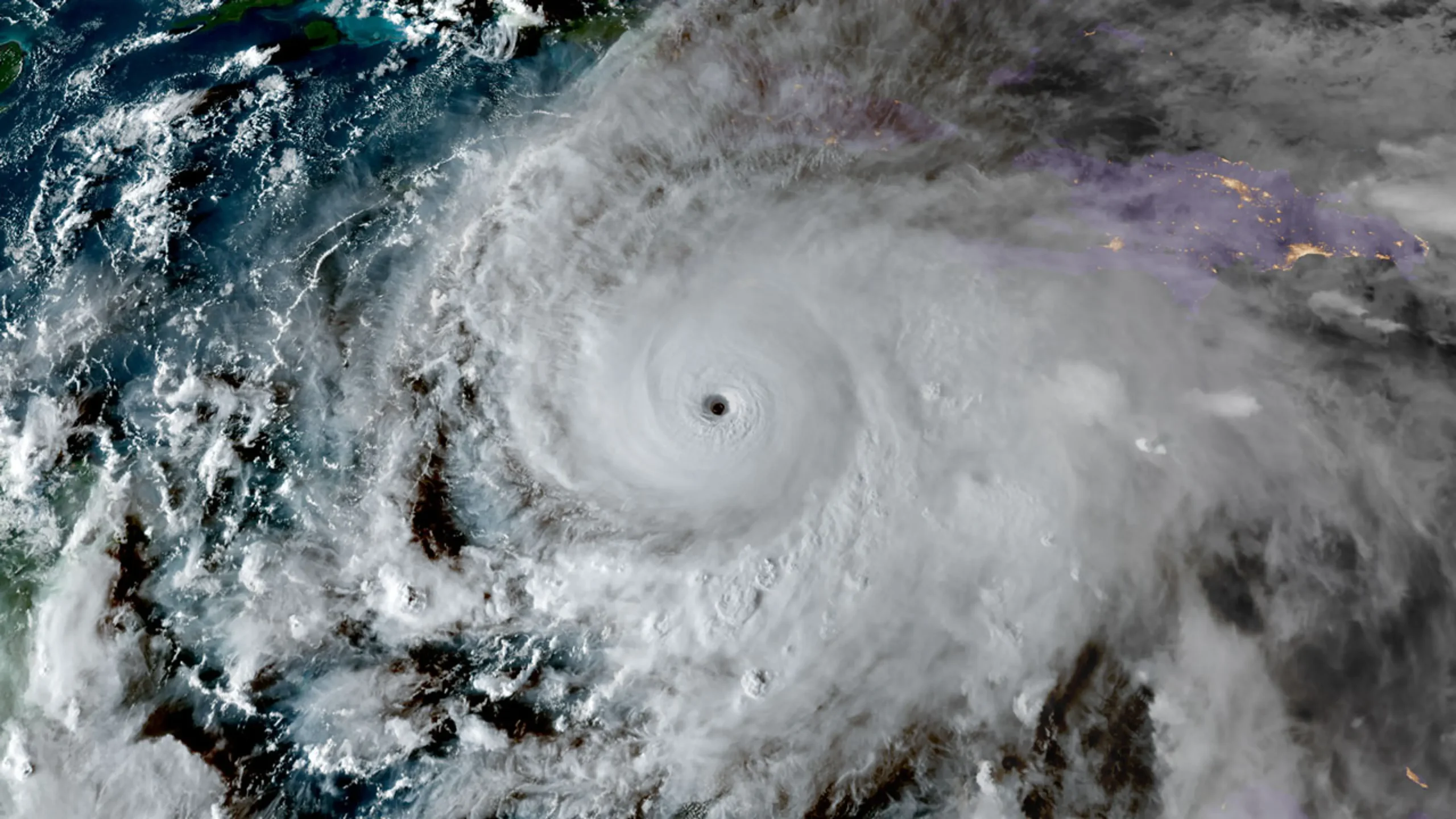
Melissa podría convertirse en el huracán más devastador que ha tocado tierra en Cuba en el último siglo
octubre 27, 2025
Actualidad
Díaz-Canel se defiende ante el paso del Huracán Melissa asegurando que Cuba «no es un Estado fallido» por la organización que el régimen ha mostrado
octubre 27, 2025
Actualidad
Centro Comercial Carlos III, de corazón del comercio en La Habana a lucir pasillos vacíos y silenciosos, con estanterías tristes
octubre 27, 2025
Actualidad
¿Qué ha sido de Elioveliz, el «José José cubano» que conquistó las redes, un año después de su boom inicial?
octubre 27, 2025
Actualidad
Arrestan madre cubana en Holguín tras estremecedor caso de maltrato infantil que se viralizó en redes sociales
octubre 27, 2025
Actualidad
Giselle Odette: la rubia que enamoró a Cuba… ahora iluminada por el yoga
octubre 27, 2025
Actualidad
Actriz cubana Blanca Rosa Blanco se reinventa como empresaria abriendo su primer restaurante en La Habana Vieja
octubre 27, 2025
Actualidad
El CDR ahora quiere jugar a la caridad… con la gente pasando más trabajo que un forro de catre
octubre 27, 2025
Actualidad
¡Ultima Hora! Defensa Civil decreta Fase de Alarma Ciclónica en las provincias desde Camagüey hasta Guantánamo
octubre 27, 2025
Actualidad
Díaz-Canel reaparece con su clásico discurso triunfalista a decir que al Huracán Melissa «lo superaremos con unidad»
octubre 27, 2025
Previous
1
…
121
122
123
124
125
…
2.579
Next
ultimas noticias
More
Actualidad
México vuelve en modo salvador del régimen y le envía dos buques petroleros cargados con 80 mil barriles de combustible
Actualidad
Ignacio Giménez vuelve a la carga con una nueva mentira: Promete un «regalo sorpresa» a todos los cubanos que tengan cuenta bancaria para enero
Actualidad
Régimen vuelve a prometer «soberanía energética» a los cubanos cuando no son capaces ni de mantener el país sin apagones durante 24 horas
Actualidad
Régimen advierte que se mantiene el límite de venta a la población de 100 USD por persona y solo a través de la aplicación de Tickets
Actualidad
Trump anuncia suspensión inmediata del Programa de Lotería de Visas, conocido popularmente por los cubanos como «el bombo»
Actualidad
Díaz-Canel reconoce colapso total en Cuba… pero dice que todo es culpa del «cero imperialista» de los Estado Unidos
Buscar:
Habilitar notificaciones
OK
Más adelante